Приказ Управления по охране объектов культурного наследия Калужской области от 04.12.2018 № 378
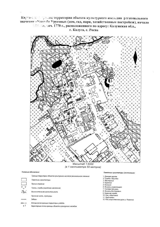
"Об утверждении границ и режима использования территории объекта культурного наследия регионального значения "Усадьба Урусовых (дом, сад, парк, хозяйственные постройки), начало 1770 г.", нач. 1770 г., расположенного по адресу: Калужская обл., г. Калуга, с. Росва"
(Зарегистрирован 13.12.2018 № 8129)
"Об утверждении границ и режима использования территории объекта культурного наследия регионального значения "Усадьба Урусовых (дом, сад, парк, хозяйственные постройки), начало 1770 г.", нач. 1770 г., расположенного по адресу: Калужская обл., г. Калуга, с. Росва"
(Зарегистрирован 13.12.2018 № 8129)
Номер опубликования: 4001201812200006
Дата опубликования:
20.12.2018
