Официальное опубликование правовых актов
ОФИЦИАЛЬНОЕ ОПУБЛИКОВАНИЕ
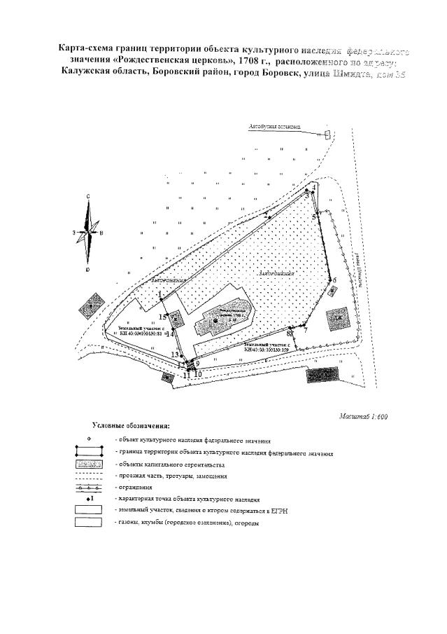
Приказ Управления по охране объектов культурного наследия Калужской области от 04.12.2018 № 381
"Об утверждении границ и режима использования территории объекта культурного наследия федерального значения "Рождественская церковь", 1708 г., расположенного по адресу: Калужская область, Боровский район, город Боровск, улица Шмидта, дом 35"
(Зарегистрирован 13.12.2018 № 8132)
Номер опубликования: 4001201812200004
Дата опубликования: 20.12.2018
Страница №4 из 6:
Увеличить