Официальное опубликование правовых актов
ОФИЦИАЛЬНОЕ ОПУБЛИКОВАНИЕ
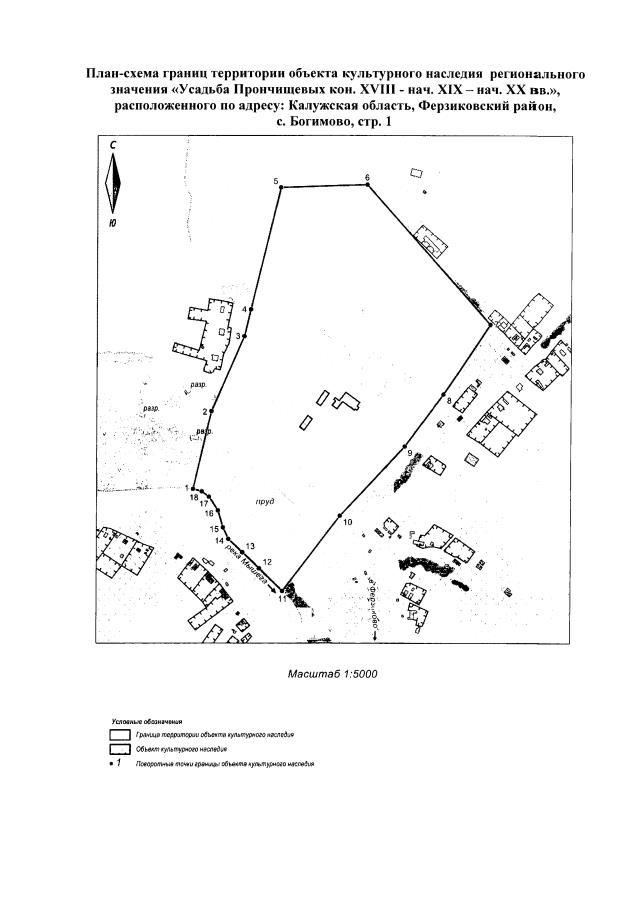
Приказ Управления по охране объектов культурного наследия Калужской области от 14.09.2018 № 260 "Об утверждении границ и режима использования территории объекта культурного наследия регионального значения "Усадьба Прончищевых кон. XVIII - нач. XIX – нач. XX вв.", расположенного по адресу: Калужская область, Ферзиковский район, с. Богимово, стр. 1"
(Зарегистрирован 28.09.2018 № 7914)
Номер опубликования: 4001201810050006
Дата опубликования: 05.10.2018
Страница №4 из 6:
Увеличить