Официальное опубликование правовых актов
ОФИЦИАЛЬНОЕ ОПУБЛИКОВАНИЕ
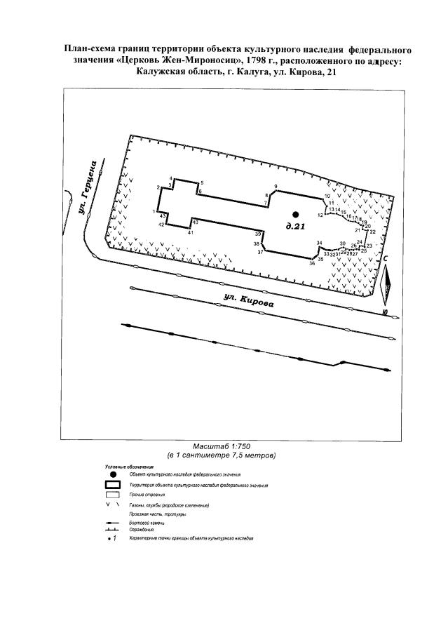
Приказ Управления по охране объектов культурного наследия Калужской области от 30.08.2018 № 239
"Об утверждении границ и режима использования территории объекта культурного наследия федерального значения "Церковь Жен-Мироносиц", 1798 г., расположенного по адресу: Калужская область, г. Калуга, ул. Кирова, 21"
(Зарегистрирован 12.09.2018 № 7860)
Номер опубликования: 4001201809190008
Дата опубликования: 19.09.2018
Страница №5 из 7:
Увеличить