Официальное опубликование правовых актов
ОФИЦИАЛЬНОЕ ОПУБЛИКОВАНИЕ
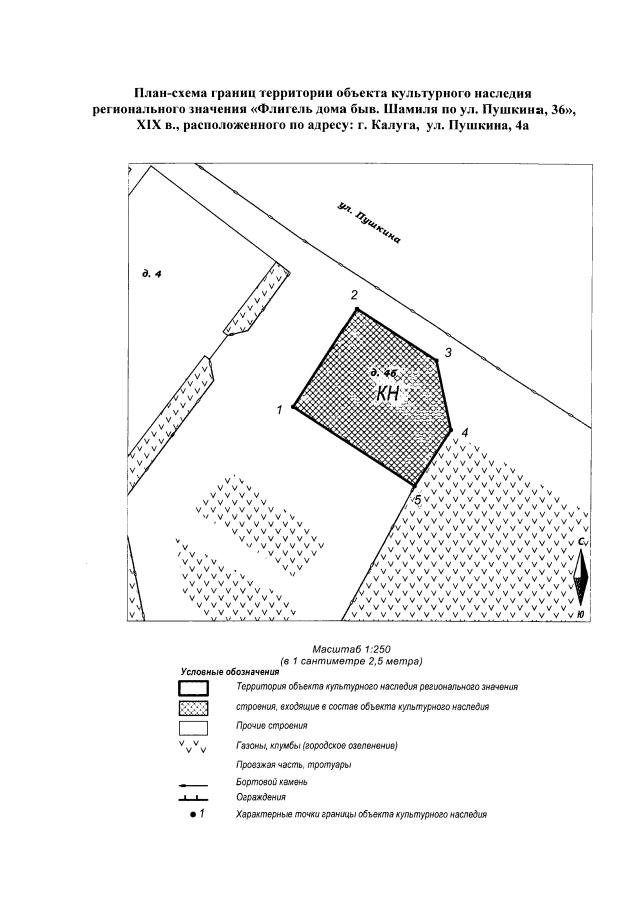
Приказ Управления по охране объектов культурного наследия Калужской области от 25.07.2018 № 175
"Об утверждении границ и режима использования территории объекта культурного наследия регионального значения "Флигель дома быв. Шамиля по ул. Пушкина, 36", XIX в., расположенного по адресу: г. Калуга, ул. Пушкина, 4а"
(Зарегистрирован 13.08.2018 № 7779)
Номер опубликования: 4001201808170006
Дата опубликования: 17.08.2018
Страница №3 из 5:
Увеличить