Официальное опубликование правовых актов
ОФИЦИАЛЬНОЕ ОПУБЛИКОВАНИЕ
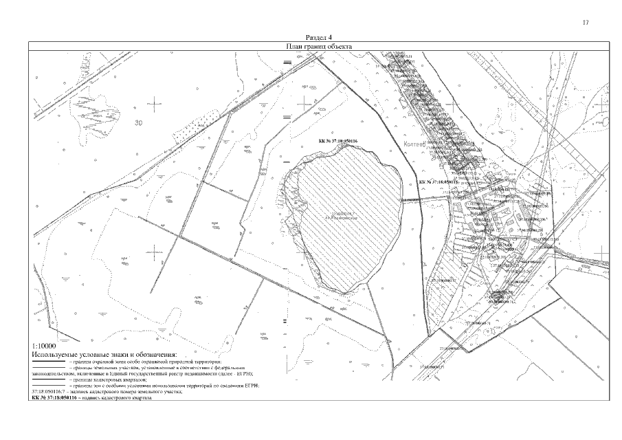
Указ Губернатора Ивановской области от 03.08.2020 № 111-уг
"Об охранной зоне памятника природы Ивановской области "Озеро Коптевское"
Номер опубликования: 3700202008040002
Дата опубликования: 04.08.2020
Страница №17 из 19:
Увеличить