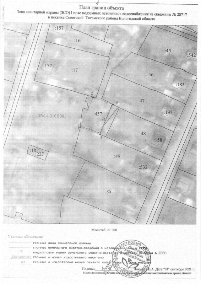
Приказ Департамента природных ресурсов и охраны окружающей среды Вологодской области от 28.10.2021 № 267
"Об установлении зон санитарной охраны источников питьевого и хозяйственно-бытового водоснабжения"
"Об установлении зон санитарной охраны источников питьевого и хозяйственно-бытового водоснабжения"
Номер опубликования: 3501202110290001
Дата опубликования:
29.10.2021
