Официальное опубликование правовых актов
ОФИЦИАЛЬНОЕ ОПУБЛИКОВАНИЕ
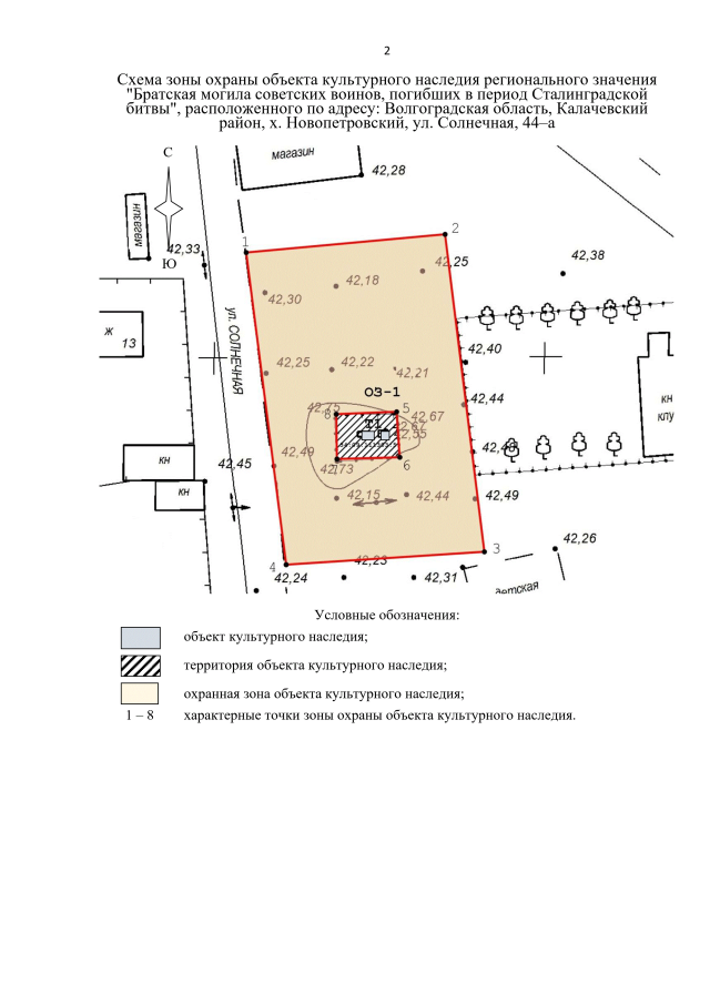
Приказ комитета государственной охраны объектов культурного наследия Волгоградской области от 20.04.2021 № 332
"Об установлении зон охраны ряда объектов культурного наследия регионального значения, расположенных на территории Калачевского района Волгоградской области, утверждении требований к градостроительным регламентам в границах территории данных зон"
Номер опубликования: 3401202104230010
Дата опубликования: 23.04.2021
Страница №24 из 48:
Увеличить