Официальное опубликование правовых актов
ОФИЦИАЛЬНОЕ ОПУБЛИКОВАНИЕ
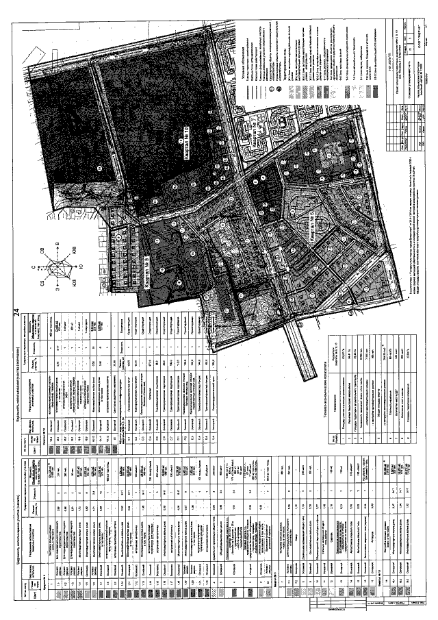
Постановление Департамента строительства и архитектуры администрации Владимирской области от 12.09.2018 № 65
"Об утверждении документации по планировке территории кварталов №№6,9.10 мкр. Юрьевец в г. Владимире"
Номер опубликования: 3301201809170003
Дата опубликования: 17.09.2018
Страница №24 из 47:
Увеличить