Официальное опубликование правовых актов
ОФИЦИАЛЬНОЕ ОПУБЛИКОВАНИЕ
Постановление Правительства Брянской области от 25.07.2022 № 314-п
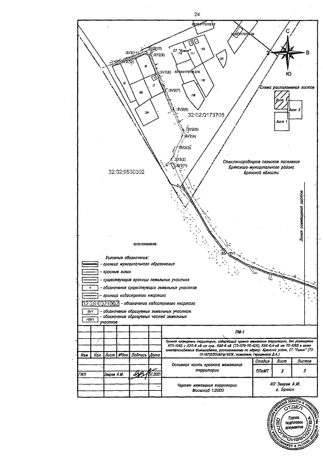
"Об утверждении основной части проекта планировки территории, содержащей проект межевания территории, для размещения КТП-1085 с ЛЭП-6 кВ от сущ. КВЛ-6 кВ (ТП-1179-ТП-1211), ЛЭП-0,4 кВ от ТП-1085 в целях электроснабжения домовладения, расположенного по адресу: Брянский район, СТ "Химик" (ТУ 13-19712/2018//ф/БЕЖ, заявитель - Геращенков Д.А.)"
Номер опубликования: 3200202207270004
Дата опубликования: 27.07.2022
Страница №25 из 25:
Увеличить