Официальное опубликование правовых актов
ОФИЦИАЛЬНОЕ ОПУБЛИКОВАНИЕ
Постановление Правительства Брянской области от 27.09.2018 № 490-п
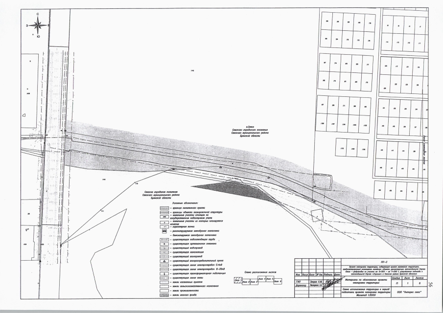
"Об утверждении проекта планировки территории, содержащего проект межевания территории, на реконструкцию автомобильной дороги Севск — Доброводье на участке км 2+300 — км 7+390 с устройством подъезда к автомобильной дороге "Украина" в Севском районе Брянской области"
Номер опубликования: 3200201810030001
Дата опубликования: 03.10.2018
Страница №57 из 134:
Увеличить