Официальное опубликование правовых актов
ОФИЦИАЛЬНОЕ ОПУБЛИКОВАНИЕ
Постановление Правительства Приморского края от 24.10.2023 № 729-пп
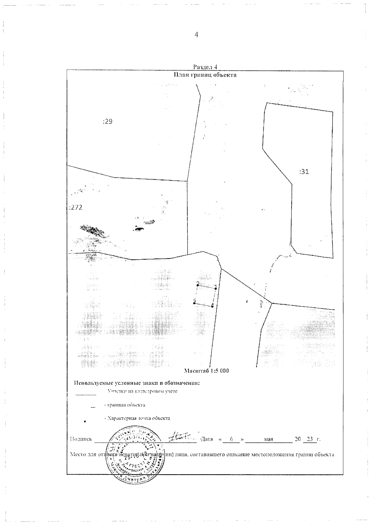
"Об установлении зон санитарной охраны для водозаборных скважин № 14/2-М, № 14/3-М, № 14-М (резервная), расположенных в 4 км южнее с. Григорьевка Михайловского муниципального района Приморского края"
Номер опубликования: 2501202310260006
Дата опубликования: 26.10.2023
Страница №5 из 33:
Увеличить