Официальное опубликование правовых актов
ОФИЦИАЛЬНОЕ ОПУБЛИКОВАНИЕ
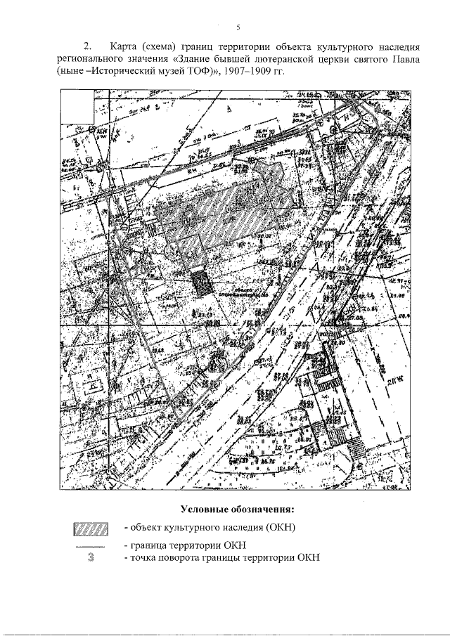
Приказ Инспекции по охране объектов культурного наследия Приморского края от 20.12.2022 № 423
"Об утверждении границ территории объекта культурного наследия (памятника истории и культуры) народов Российской Федерации регионального значения "Здание бывшей лютеранской церкви святого Павла (ныне –Исторический музей ТОФ)", 1907–1909 гг., регистрационный номер 251410098140005, расположенного по адресу (местонахождение): Приморский край, г. Владивосток, ул. Пушкинская, д. 14"
Номер опубликования: 2501202212220009
Дата опубликования: 22.12.2022
Страница №5 из 5:
Увеличить