Приказ Инспекции по охране объектов культурного наследия Приморского края от 12.12.2022 № 381
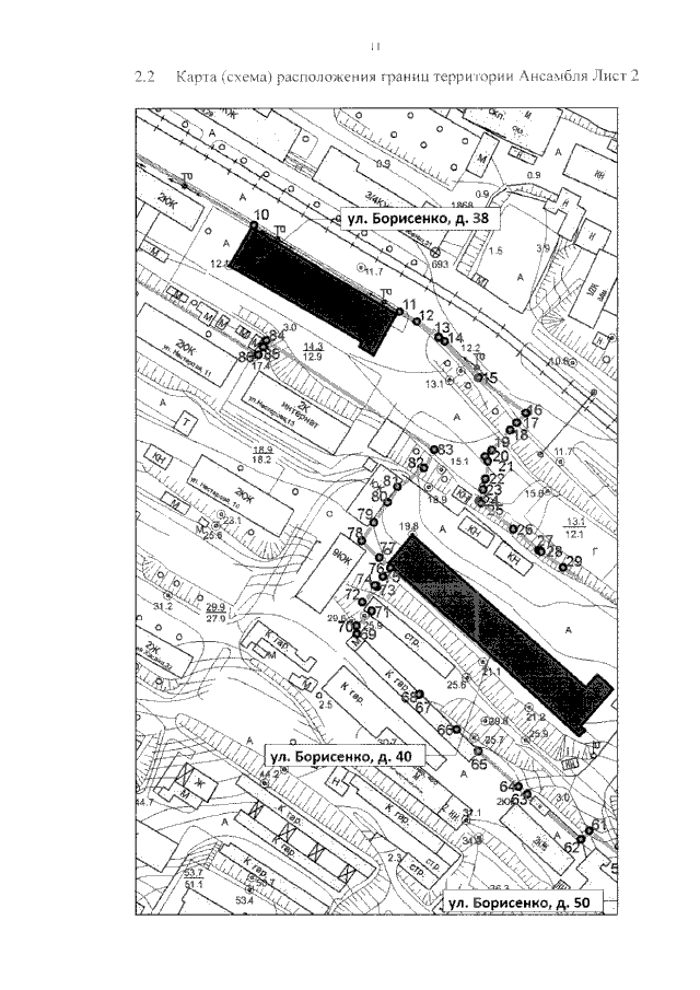
"Об утверждении границ территории объекта культурного наследия (памятника истории и культуры) народов Российской Федерации регионального значения "Ансамбль застройки казарменного городка Владивостокской крепости", 1906 - 1909 годы, расположенного по адресу (местонахождение): Приморский край, г. Владивосток, ул. Борисенко, д. 34, 38, 40, 42, 50, 52"
"Об утверждении границ территории объекта культурного наследия (памятника истории и культуры) народов Российской Федерации регионального значения "Ансамбль застройки казарменного городка Владивостокской крепости", 1906 - 1909 годы, расположенного по адресу (местонахождение): Приморский край, г. Владивосток, ул. Борисенко, д. 34, 38, 40, 42, 50, 52"
Номер опубликования: 2501202212140023
Дата опубликования:
14.12.2022
