Официальное опубликование правовых актов
ОФИЦИАЛЬНОЕ ОПУБЛИКОВАНИЕ
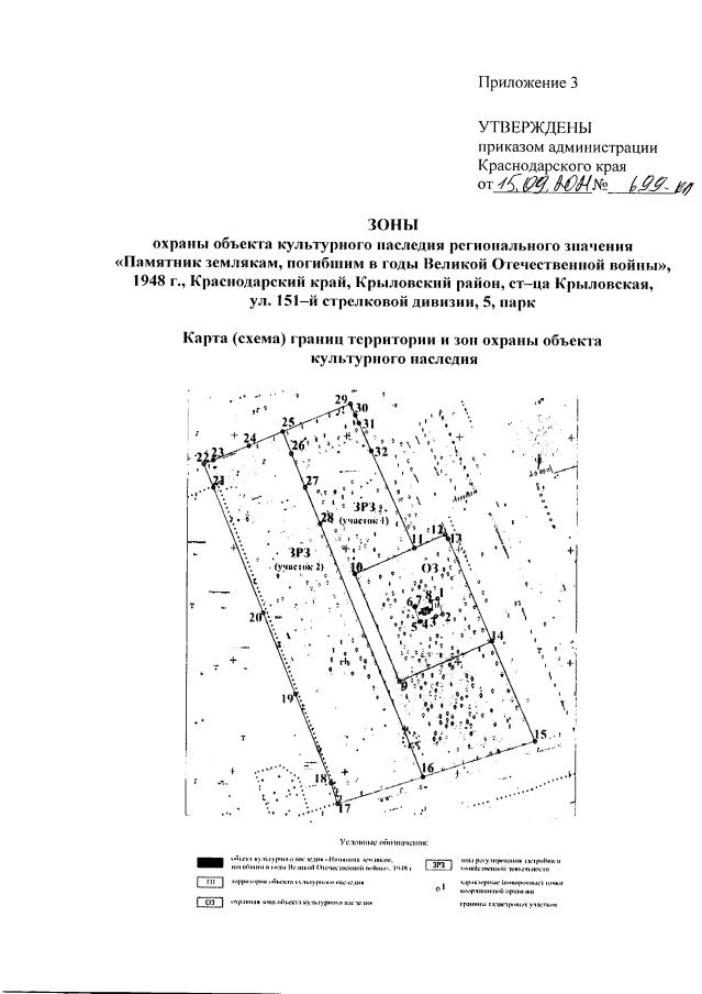
Приказ администрации Краснодарского края от 15.09.2021 № 699-КН
"Об утверждении границ и режима использования территории, а также зон охраны, режимов использования земель и требований к градостроительным регламентам в границах территорий данных зон объекта культурного наследия регионального значения "Памятник землякам, погибшим в годы Великой Отечественной войны", 1948 г., Краснодарский край, Крыловский район, ст–ца Крыловская, ул. 151–й стрелковой дивизии, 5, парк"
Номер опубликования: 2301202109230010
Дата опубликования: 23.09.2021
Страница №7 из 16:
Увеличить