Официальное опубликование правовых актов
ОФИЦИАЛЬНОЕ ОПУБЛИКОВАНИЕ
Приказ Администрации Главы Республики Бурятия и Правительства Республики Бурятия от 27.03.2026 № 16окн
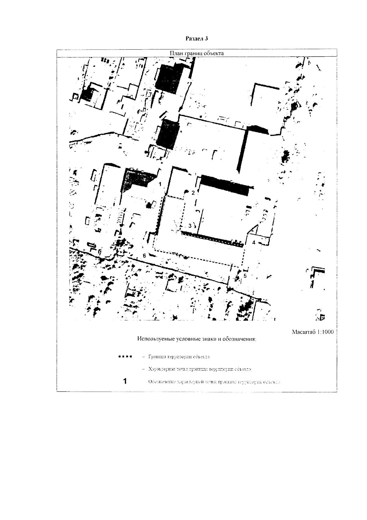
"Об уточнении сведений об объекте культурного наследия регионального значения "Бывшее здание Таможни (комплекс построек)", расположенном по адресу: Республика Бурятия, Кяхтинский район, г. Кяхта, ул. Пограничная, 73, и утверждении границ территорий объектов культурного наследия, входящих в его состав, и о внесении изменения в приказ Администрации Главы Республики Бурятия и Правительства Республики Бурятия от 06.11.2019 № 419д "Об утверждении границ территорий объектов культурного наследия регионального значения, расположенных в г. Кяхта Кяхтинского района Республики Бурятия"
(Зарегистрирован 01.04.2026 № 032026124)
Номер опубликования: 0301202604030004
Дата опубликования: 03.04.2026
Страница №9 из 9:
Увеличить