Официальное опубликование правовых актов
ОФИЦИАЛЬНОЕ ОПУБЛИКОВАНИЕ
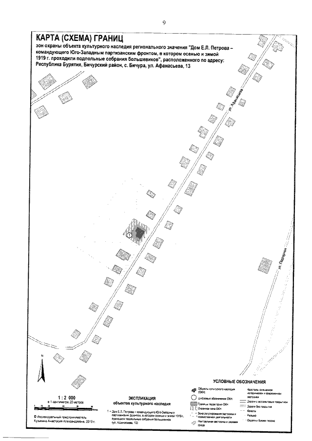
Приказ Администрации Главы Республики Бурятия и Правительства Республики Бурятия от 30.06.2021 № 264д
"Об утверждении границ зон охраны объекта культурного наследия регионального значения "Дом Е.Л. Петрова - командующего Юго-Западным партизанским фронтом, в котором осенью и зимой 1919 г. проходили подпольные собрания большевиков", расположенного по ул. Афанасьева, 13 в с. Бичура Бичурского района Республики Бурятия, режимов использования земель и требований к градостроительным регламентам в границах данных зон"
(Зарегистрирован 16.07.2021 № 032021254)
Номер опубликования: 0301202107220002
Дата опубликования: 22.07.2021
Страница №9 из 10:
Увеличить