Официальное опубликование правовых актов
ОФИЦИАЛЬНОЕ ОПУБЛИКОВАНИЕ
Приказ Администрации Главы Республики Бурятия и Правительства Республики Бурятия от 30.06.2021 № 263д
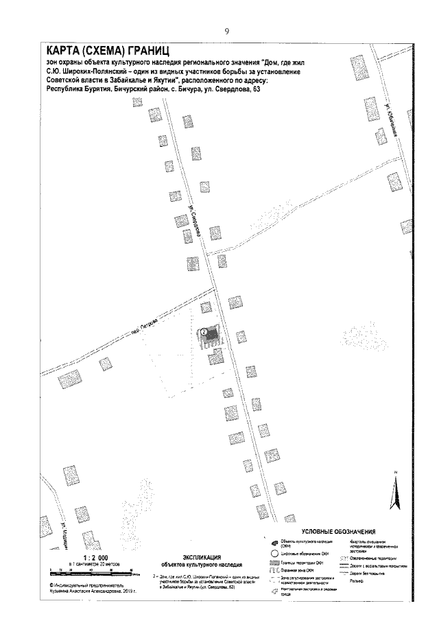
"Об утверждении границ зон охраны объекта культурного наследия регионального значения "Дом, где жил С.Ю. Широких-Полянский - один из видных участников борьбы за установление Советской власти в Забайкалье и Якутии", расположенного по ул. Свердлова, 63 в с. Бичура Бичурского района Республики Бурятия, режимов использования земель и требований к градостроительным регламентам в границах данных зон"
(Зарегистрирован 02.07.2021 № 032021238)
Номер опубликования: 0301202107090001
Дата опубликования: 09.07.2021
Страница №9 из 10:
Увеличить