Официальное опубликование правовых актов
ОФИЦИАЛЬНОЕ ОПУБЛИКОВАНИЕ
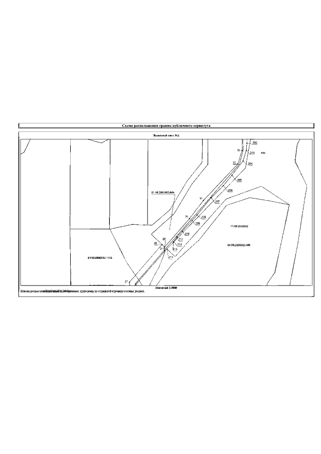
Приказ Комитета Республики Адыгея по имущественным отношениям от 10.04.2023 № 116
"Об установлении публичного сервитута с целью размещения объекта регионального значения"
(Зарегистрирован 19.04.2023 № 23-115)
Номер опубликования: 0101202304210010
Дата опубликования: 21.04.2023
Страница №9 из 26:
Увеличить