Официальное опубликование правовых актов
ОФИЦИАЛЬНОЕ ОПУБЛИКОВАНИЕ
Постановление Правительства Севастополя от 29.12.2025 № 683-ПП
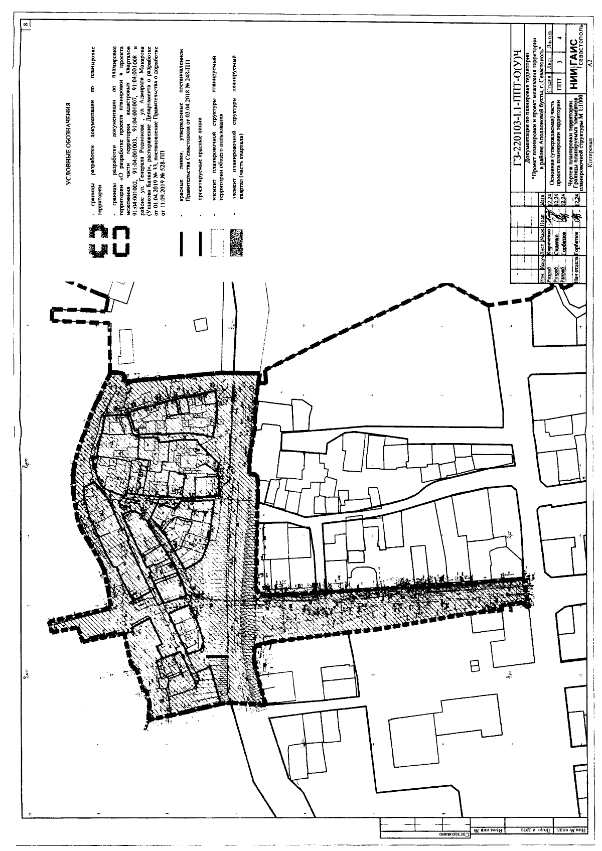
"Об утверждении документации по планировке территории "Проект планировки и проект межевания территории в районе Аполлоновой бухты, г. Севастополь"
Номер опубликования: 9200202601040013
Дата опубликования: 04.01.2026
Страница №10 из 110:
Увеличить