Постановление Правительства Севастополя от 28.02.2025 № 97-ПП
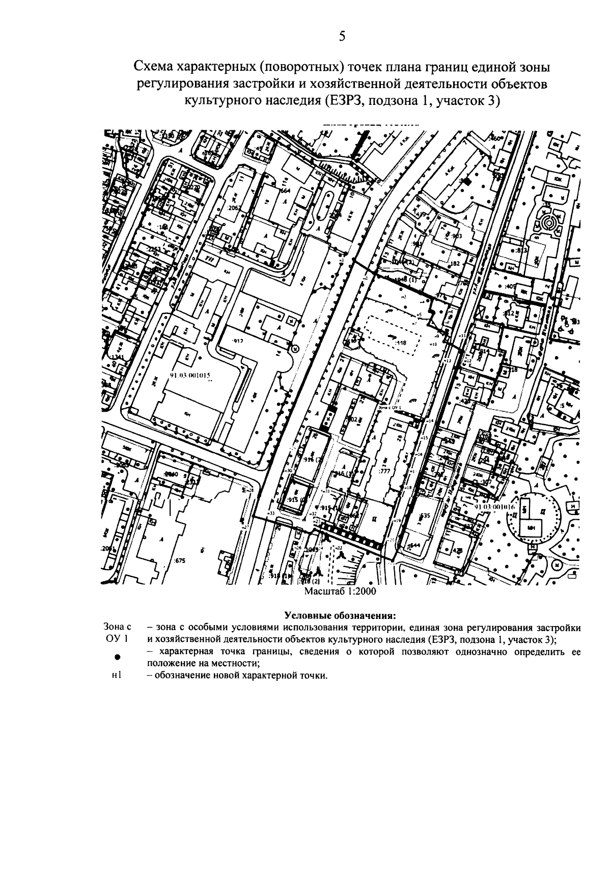
"Об утверждении границ объединенной зоны охраны, режимов использования земель и требований к градостроительным регламентам в границах объединенной зоны охраны объектов культурного наследия регионального значения: "Жилой дом" (г. Севастополь, ул. Гоголя, д. 3), "Жилой дом" (г. Севастополь, ул. Гоголя, д. 6), "Жилой дом" (г. Севастополь, ул. Гоголя, д. 7), "Жилой дом" (г. Севастополь, ул. Гоголя, д. 8), "Жилой дом" (г. Севастополь, ул. Гоголя, д. 10), "Здание судостроительного техникума" (г. Севастополь, ул. Гоголя, д. 12–14), "Жилой дом" (г. Севастополь, ул. Гоголя, д. 22), "Жилой дом" (г. Севастополь, ул. Гоголя, д. 24), "Жилой дом" (г. Севастополь, ул. Гоголя, д. 27), "Жилой дом" (г. Севастополь, ул. Гоголя, д. 35), "Римско-католический костел" (г. Севастополь, ул. Шмидта, д. 1)"
"Об утверждении границ объединенной зоны охраны, режимов использования земель и требований к градостроительным регламентам в границах объединенной зоны охраны объектов культурного наследия регионального значения: "Жилой дом" (г. Севастополь, ул. Гоголя, д. 3), "Жилой дом" (г. Севастополь, ул. Гоголя, д. 6), "Жилой дом" (г. Севастополь, ул. Гоголя, д. 7), "Жилой дом" (г. Севастополь, ул. Гоголя, д. 8), "Жилой дом" (г. Севастополь, ул. Гоголя, д. 10), "Здание судостроительного техникума" (г. Севастополь, ул. Гоголя, д. 12–14), "Жилой дом" (г. Севастополь, ул. Гоголя, д. 22), "Жилой дом" (г. Севастополь, ул. Гоголя, д. 24), "Жилой дом" (г. Севастополь, ул. Гоголя, д. 27), "Жилой дом" (г. Севастополь, ул. Гоголя, д. 35), "Римско-католический костел" (г. Севастополь, ул. Шмидта, д. 1)"
Номер опубликования: 9200202503070018
Дата опубликования:
07.03.2025
