Официальное опубликование правовых актов
ОФИЦИАЛЬНОЕ ОПУБЛИКОВАНИЕ
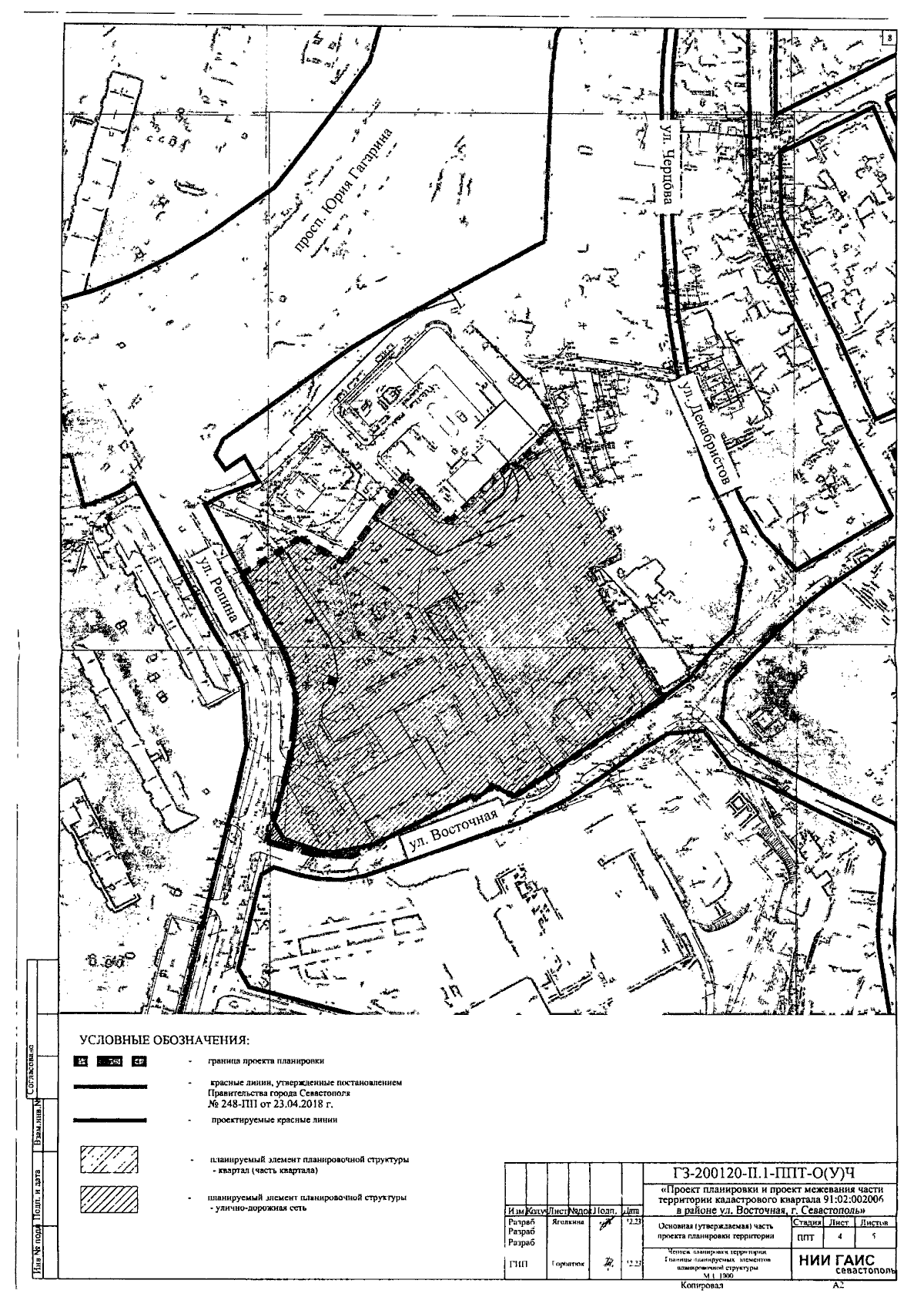
Постановление Правительства Севастополя от 08.02.2024 № 38-ПП
"Об утверждении документации по планировке территории "Проект планировки и проект межевания части территории кадастрового квартала 91:02:002006 в районе ул. Восточная, г. Севастополь"
Номер опубликования: 9200202402150003
Дата опубликования: 15.02.2024
Страница №10 из 62:
Увеличить