Официальное опубликование правовых актов
ОФИЦИАЛЬНОЕ ОПУБЛИКОВАНИЕ
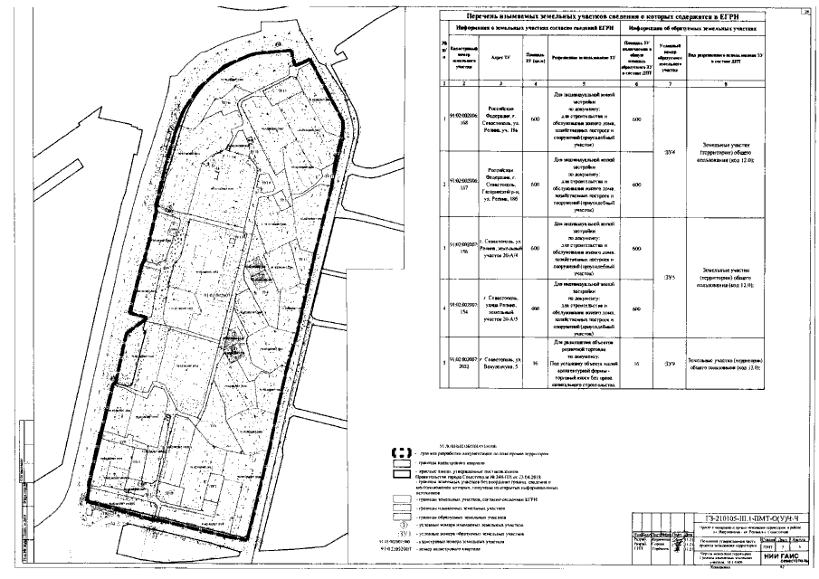
Постановление Правительства Севастополя от 12.08.2022 № 356-ПП
"Об утверждении документации по планировке территории "Проект планировки и проект межевания территории в районе ул. Вакуленчука – ул. Репина в г. Севастополе"
Номер опубликования: 9200202208190017
Дата опубликования: 19.08.2022
Страница №30 из 52:
Увеличить