Официальное опубликование правовых актов
ОФИЦИАЛЬНОЕ ОПУБЛИКОВАНИЕ
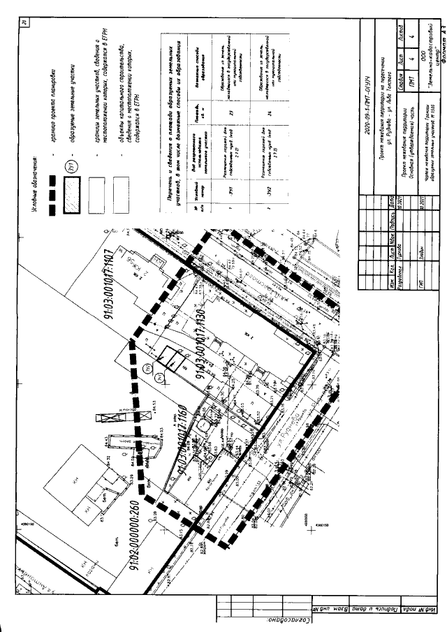
Постановление Правительства Севастополя от 25.04.2022 № 180-ПП
"Об утверждении документации по планировке территории "Проект межевания территории на пересечении ул. Руднева – ул. Льва Толстого"
Номер опубликования: 9200202204270006
Дата опубликования: 27.04.2022
Страница №22 из 22:
Увеличить