Официальное опубликование правовых актов
ОФИЦИАЛЬНОЕ ОПУБЛИКОВАНИЕ
Постановление Правительства Севастополя от 27.01.2022 № 21-ПП
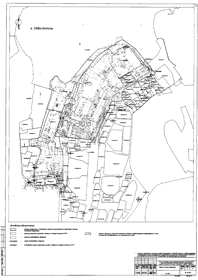
"Об утверждении документации по планировке территории "Проект планировки и проект межевания территории части кадастровых кварталов 91:02:002003, 91:02:002004 в районе Государственного историко-археологического музея-заповедника "Херсонес Таврический"
Номер опубликования: 9200202202040004
Дата опубликования: 04.02.2022
Страница №35 из 54:
Увеличить