Официальное опубликование правовых актов
ОФИЦИАЛЬНОЕ ОПУБЛИКОВАНИЕ
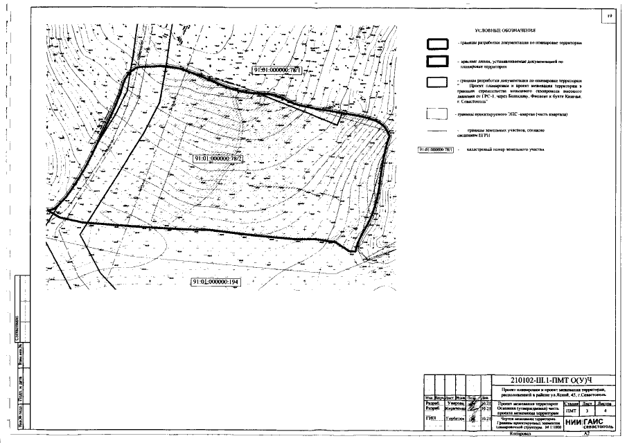
Постановление Правительства Севастополя от 24.01.2022 № 15-ПП
"Об утверждении документации по планировке территории "Проект планировки и проект межевания территории, расположенной в районе ул. Ясной, 45, г. Севастополь"
Номер опубликования: 9200202202010004
Дата опубликования: 01.02.2022
Страница №34 из 35:
Увеличить