Официальное опубликование правовых актов
ОФИЦИАЛЬНОЕ ОПУБЛИКОВАНИЕ
Постановление Правительства Севастополя от 07.10.2021 № 490-ПП
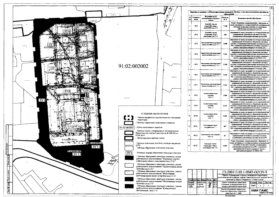
"Об утверждении документации по планировке территории "Проект планировки и проект межевания территории, расположенной в районе сквера Севастопольских курсантов по проспекту Юрия Гагарина в г. Севастополе"
Номер опубликования: 9200202110140019
Дата опубликования: 14.10.2021
Страница №28 из 49:
Увеличить