Официальное опубликование правовых актов
ОФИЦИАЛЬНОЕ ОПУБЛИКОВАНИЕ
Постановление Правительства Севастополя от 10.08.2021 № 374-ПП
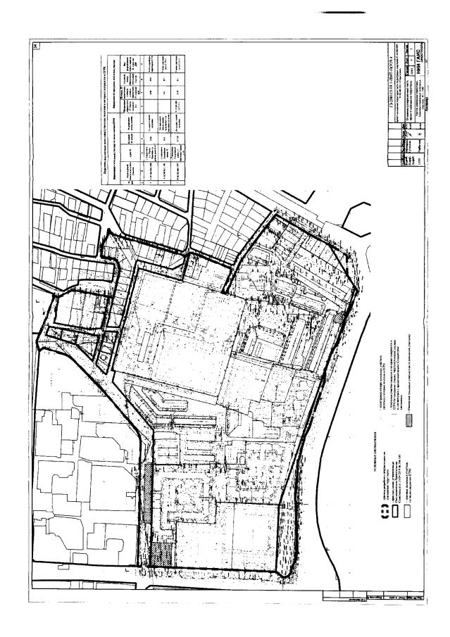
"О внесении изменений в постановление Правительства Севастополя от 26.03.2021 № 117-ПП "Об утверждении документации по планировке территории "Проект планировки и проект межевания территории части кадастровых кварталов 91:02:001009, 91:02:001011, г. Севастополь"
Номер опубликования: 9200202108160011
Дата опубликования: 16.08.2021
Страница №58 из 59:
Увеличить