Постановление Правительства Севастополя от 10.08.2021 № 372-ПП
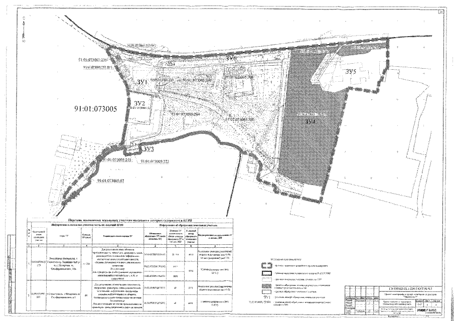
"Об утверждении документации по планировке территории "Проект планировки и проект межевания территории "Инкерман-1"
"Об утверждении документации по планировке территории "Проект планировки и проект межевания территории "Инкерман-1"
Номер опубликования: 9200202108160009
Дата опубликования:
16.08.2021
