Официальное опубликование правовых актов
ОФИЦИАЛЬНОЕ ОПУБЛИКОВАНИЕ
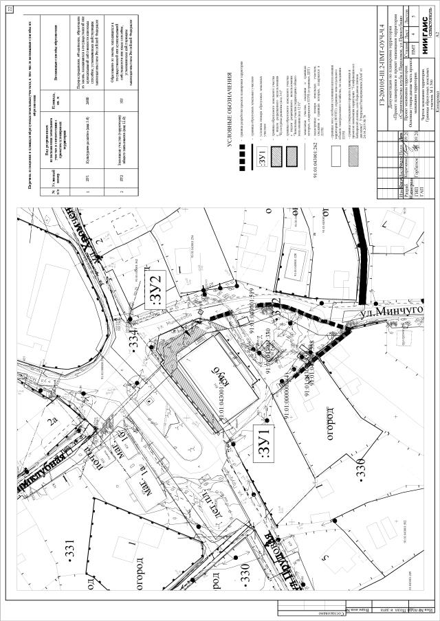
Постановление Правительства Севастополя от 26.03.2021 № 115-ПП
"Об утверждении документации по планировке территории "Проект планировки и проект межевания территории "Строительство клуба с. Передовое, ул. Приклубная"
Номер опубликования: 9200202104020021
Дата опубликования: 02.04.2021
Страница №40 из 41: