Официальное опубликование правовых актов
ОФИЦИАЛЬНОЕ ОПУБЛИКОВАНИЕ
Постановление Правительства Севастополя от 18.06.2020 № 281-ПП
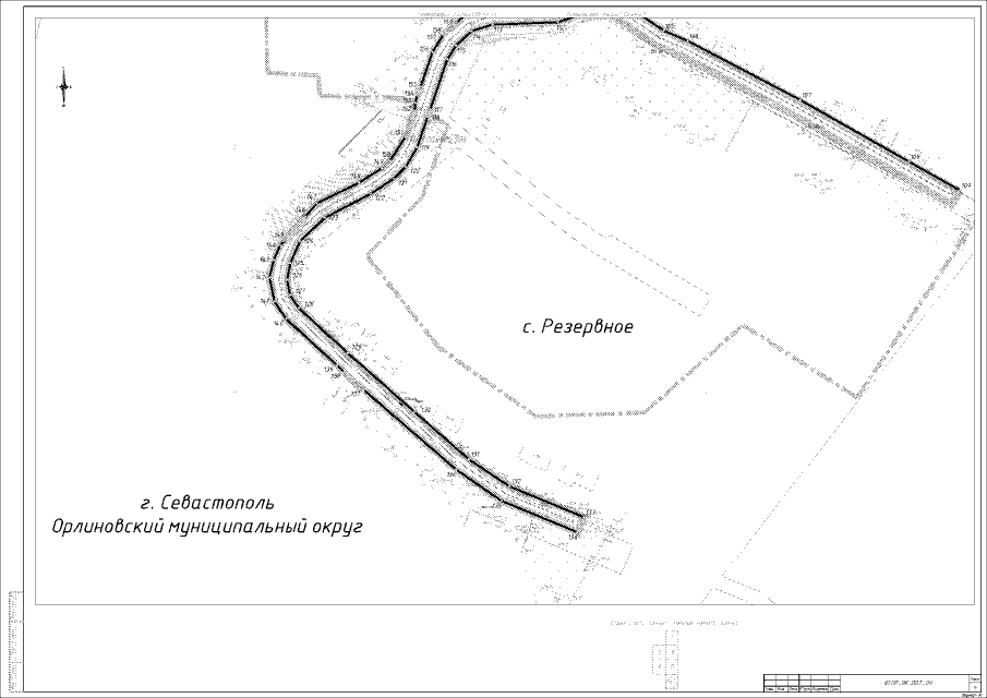
"О внесении изменений в постановление Правительства Севастополя от 28.01.2019 № 18-ПП "Об утверждении градостроительной документации по проекту планировки и проекту межевания территории линейного объекта "Газификация сел Байдарской долины, село Резервное (низкое давление)" в Орлиновском муниципальном округе"
Номер опубликования: 9200202006250019
Дата опубликования: 25.06.2020
Страница №12 из 27:
Увеличить