Официальное опубликование правовых актов
ОФИЦИАЛЬНОЕ ОПУБЛИКОВАНИЕ
Постановление Правительства Севастополя от 28.01.2019 № 16-ПП
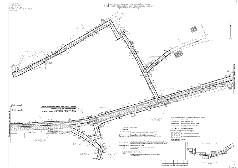
"Об утверждении градостроительной документации по проекту планировки и проекту межевания территории линейного объекта "Газификация сел Байдарской долины, село Широкое (низкое давление)"
Номер опубликования: 9200201902050027
Дата опубликования: 05.02.2019
Страница №67 из 146:
Увеличить