Официальное опубликование правовых актов
ОФИЦИАЛЬНОЕ ОПУБЛИКОВАНИЕ
Постановление Правительства Севастополя от 26.12.2018 № 941-ПП
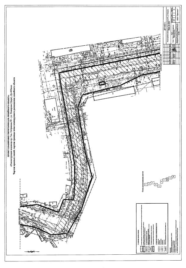
"Об утверждении градостроительной документации по проекту планировки и проекту межевания территории линейного объекта "Реконструкция водовода пр. Ген. Острякова 90 – ул. Пожарова (Цирк), Ду-600" в Ленинском муниципальном округе"
Номер опубликования: 9200201812280007
Дата опубликования: 28.12.2018
Страница №14 из 65:
Увеличить