Постановление Правительства Севастополя от 06.12.2018 № 834-ПП
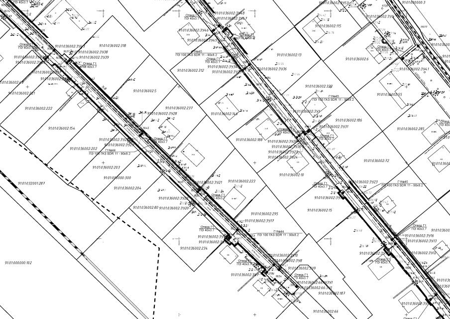
"Об утверждении градостроительной документации по проекту планировки и проекту межевания территории линейного объекта "Газификация сел Байдарской долины, село Орлиное (низкое давление)" в Орлиновском муниципальном округе"
"Об утверждении градостроительной документации по проекту планировки и проекту межевания территории линейного объекта "Газификация сел Байдарской долины, село Орлиное (низкое давление)" в Орлиновском муниципальном округе"
Номер опубликования: 9200201812130001
Дата опубликования:
13.12.2018
