Официальное опубликование правовых актов
ОФИЦИАЛЬНОЕ ОПУБЛИКОВАНИЕ
Постановление Правительства Севастополя от 12.07.2018 № 434-ПП
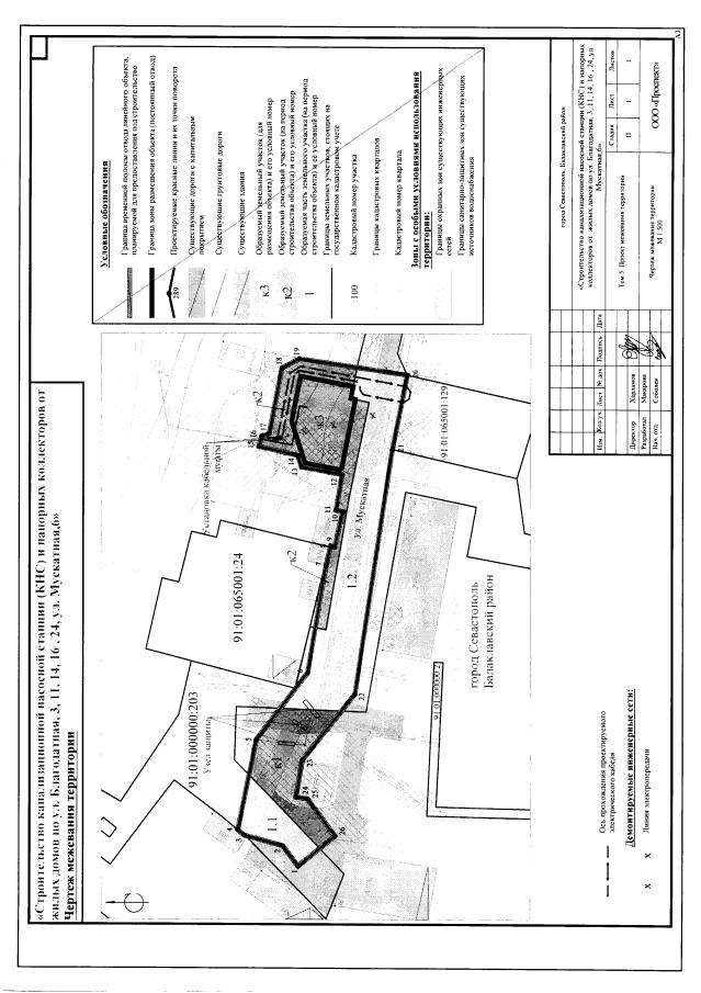
"Об утверждении документации по планировке территории линейного объекта "Строительство канализационной насосной станции (КНС) и напорных коллекторов от жилых домов по ул. Благодатная, 3, 11, 14, 16, 24, ул. Мускатная, 6"
Номер опубликования: 9200201807180004
Дата опубликования: 18.07.2018
Страница №38 из 38:
Увеличить