Приказ Министерства культуры Республики Крым от 03.04.2026 № 389-ОКН
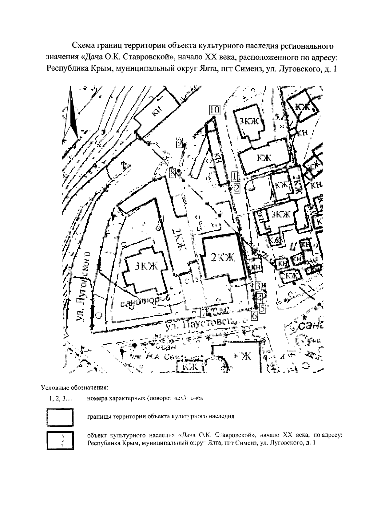
"О включении выявленного объекта культурного наследия "Дача", начало XX века, расположенного по адресу: Республика Крым, городской округ Ялта, пгт Симеиз, ул. Луговского, 1, в единый государственный реестр объектов культурного наследия (памятников истории и культуры) народов Российской Федерации в качестве объекта культурного наследия регионального значения и утверждении границ территории, режимов использования земель в границах территории объекта культурного наследия регионального значения"
(Зарегистрирован 07.04.2026 № 3512)
"О включении выявленного объекта культурного наследия "Дача", начало XX века, расположенного по адресу: Республика Крым, городской округ Ялта, пгт Симеиз, ул. Луговского, 1, в единый государственный реестр объектов культурного наследия (памятников истории и культуры) народов Российской Федерации в качестве объекта культурного наследия регионального значения и утверждении границ территории, режимов использования земель в границах территории объекта культурного наследия регионального значения"
(Зарегистрирован 07.04.2026 № 3512)
Номер опубликования: 9101202604090007
Дата опубликования:
09.04.2026
