Официальное опубликование правовых актов
ОФИЦИАЛЬНОЕ ОПУБЛИКОВАНИЕ
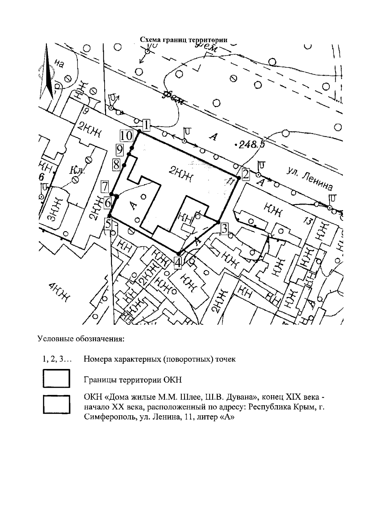
Приказ Министерства культуры Республики Крым от 11.11.2025 № 706-ОКН
"Об утверждении границ территории, режимов использования земель в границах территории объекта культурного наследия регионального значения "Дома жилые М.М. Шлее, Ш.В. Дувана", конец XIX века - начало XX века, расположенного по адресу: Республика Крым, г. Симферополь, ул. Ленина, 11, литер "А"
(Зарегистрирован 18.11.2025 № 2949)
Номер опубликования: 9101202511200006
Дата опубликования: 20.11.2025
Страница №4 из 5:
Увеличить