Официальное опубликование правовых актов
ОФИЦИАЛЬНОЕ ОПУБЛИКОВАНИЕ
Приказ Министерства культуры Республики Крым от 04.07.2025 № 373-ОКН
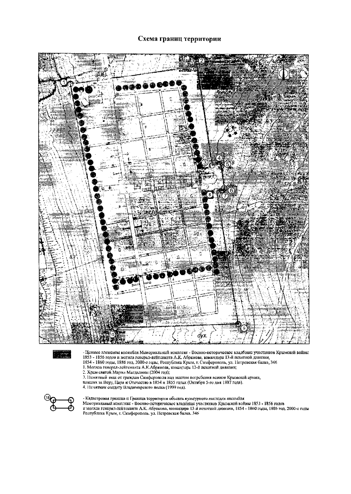
"Об утверждении границ территории, режимов использования земель в границах территории объекта культурного наследия регионального значения "Мемориальный комплекс - Военно-историческое кладбище участников Крымской войны 1853–1856 годов и могила генерал-лейтенанта А.К. Абрамова, командира 13-й пехотной дивизии" (ансамбль), 1854 - 1860 годы, 1886 год, 2000-е годы, расположенного по адресу: Республика Крым, г. Симферополь, ул. Петровская балка, 346"
(Зарегистрирован 08.07.2025 № 2541)
Номер опубликования: 9101202507100005
Дата опубликования: 10.07.2025
Страница №4 из 5:
Увеличить