Приказ Министерства культуры Республики Крым от 19.05.2025 № 287-ОКН
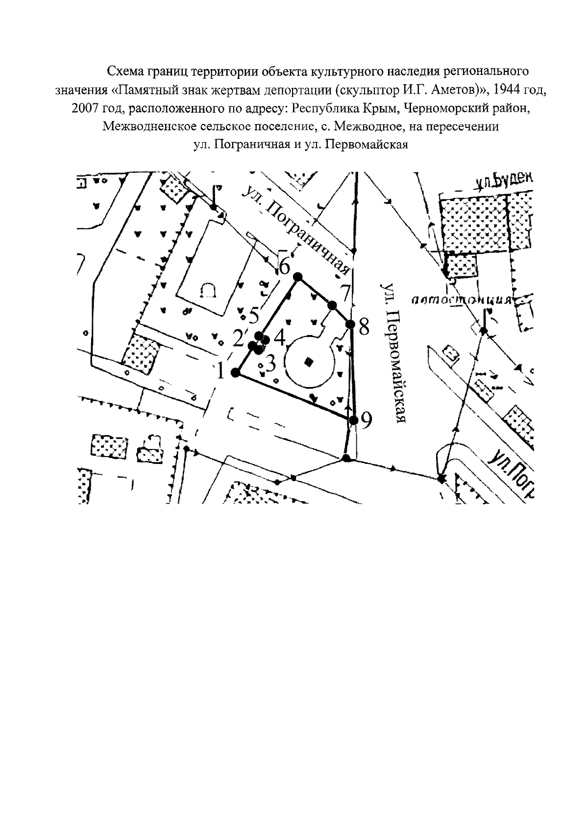
"О включении выявленного объекта культурного наследия "Памятный знак жертвам депортации", расположенного по адресу: Республика Крым, Черноморский район, Межводненское сельское поселение, с. Межводное, в районе сквера погибшим воинам Великой Отечественной войны, на пересечении улиц Пограничная и Первомайская, в единый государственный реестр объектов культурного наследия (памятников истории и культуры) народов Российской Федерации в качестве объекта культурного наследия регионального значения и утверждении границ территории, режимов использования земель в границах территории объекта культурного наследия регионального значения"
(Зарегистрирован 20.05.2025 № 2432)
"О включении выявленного объекта культурного наследия "Памятный знак жертвам депортации", расположенного по адресу: Республика Крым, Черноморский район, Межводненское сельское поселение, с. Межводное, в районе сквера погибшим воинам Великой Отечественной войны, на пересечении улиц Пограничная и Первомайская, в единый государственный реестр объектов культурного наследия (памятников истории и культуры) народов Российской Федерации в качестве объекта культурного наследия регионального значения и утверждении границ территории, режимов использования земель в границах территории объекта культурного наследия регионального значения"
(Зарегистрирован 20.05.2025 № 2432)
Номер опубликования: 9101202505220001
Дата опубликования:
22.05.2025
