Приказ Министерства культуры Республики Крым от 03.02.2025 № 54-ОКН
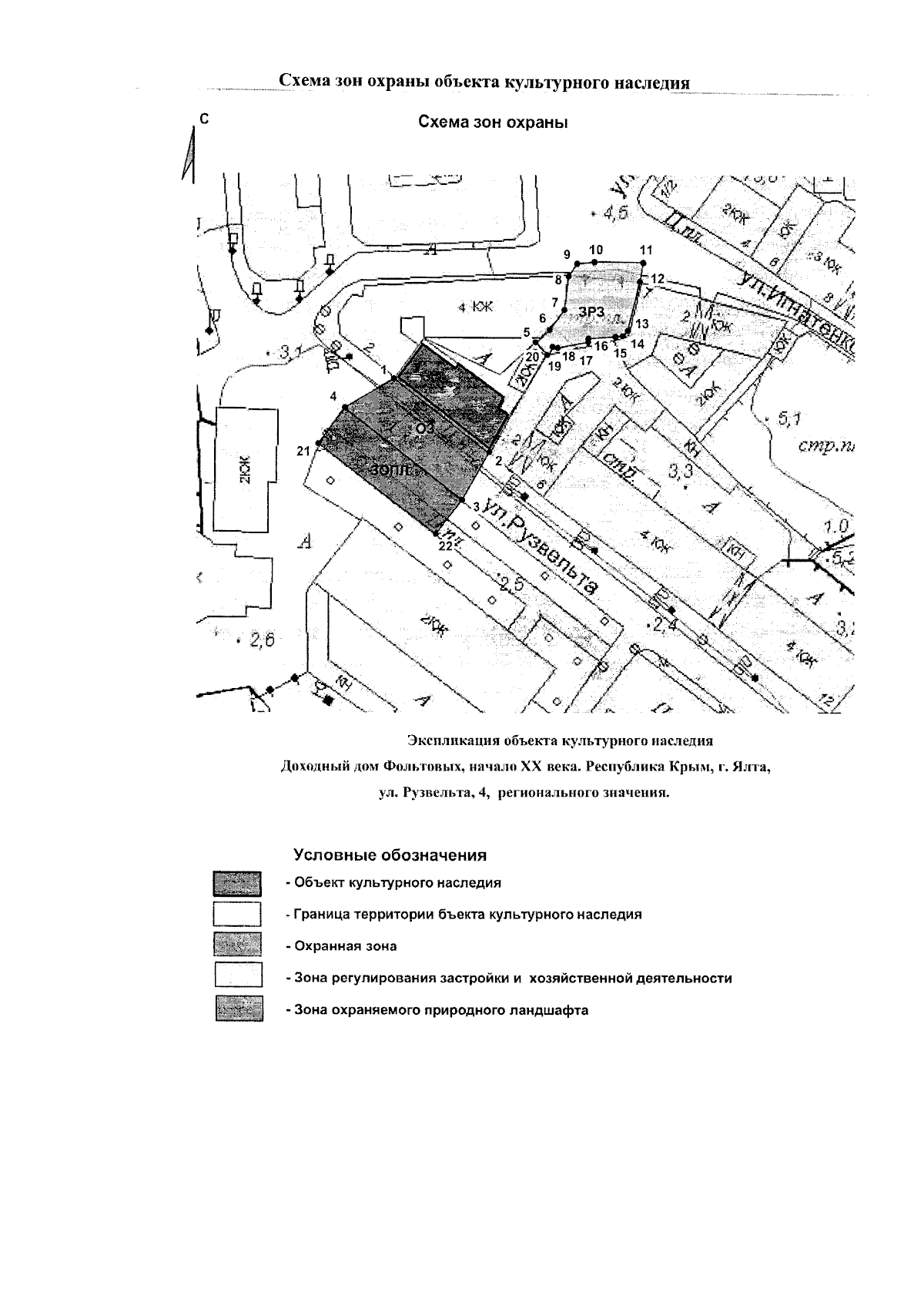
"Об утверждении границ зон охраны, режимов использования земель и требований к градостроительным регламентам в границах зон охраны объекта культурного наследия регионального значения "Доходный дом Фольтовых", начало XX века, расположенного по адресу: Республика Крым, г. Ялта, ул. Рузвельта, 4"
(Зарегистрирован 04.02.2025 № 2184)
"Об утверждении границ зон охраны, режимов использования земель и требований к градостроительным регламентам в границах зон охраны объекта культурного наследия регионального значения "Доходный дом Фольтовых", начало XX века, расположенного по адресу: Республика Крым, г. Ялта, ул. Рузвельта, 4"
(Зарегистрирован 04.02.2025 № 2184)
Номер опубликования: 9101202502070006
Дата опубликования:
07.02.2025
