Официальное опубликование правовых актов
ОФИЦИАЛЬНОЕ ОПУБЛИКОВАНИЕ
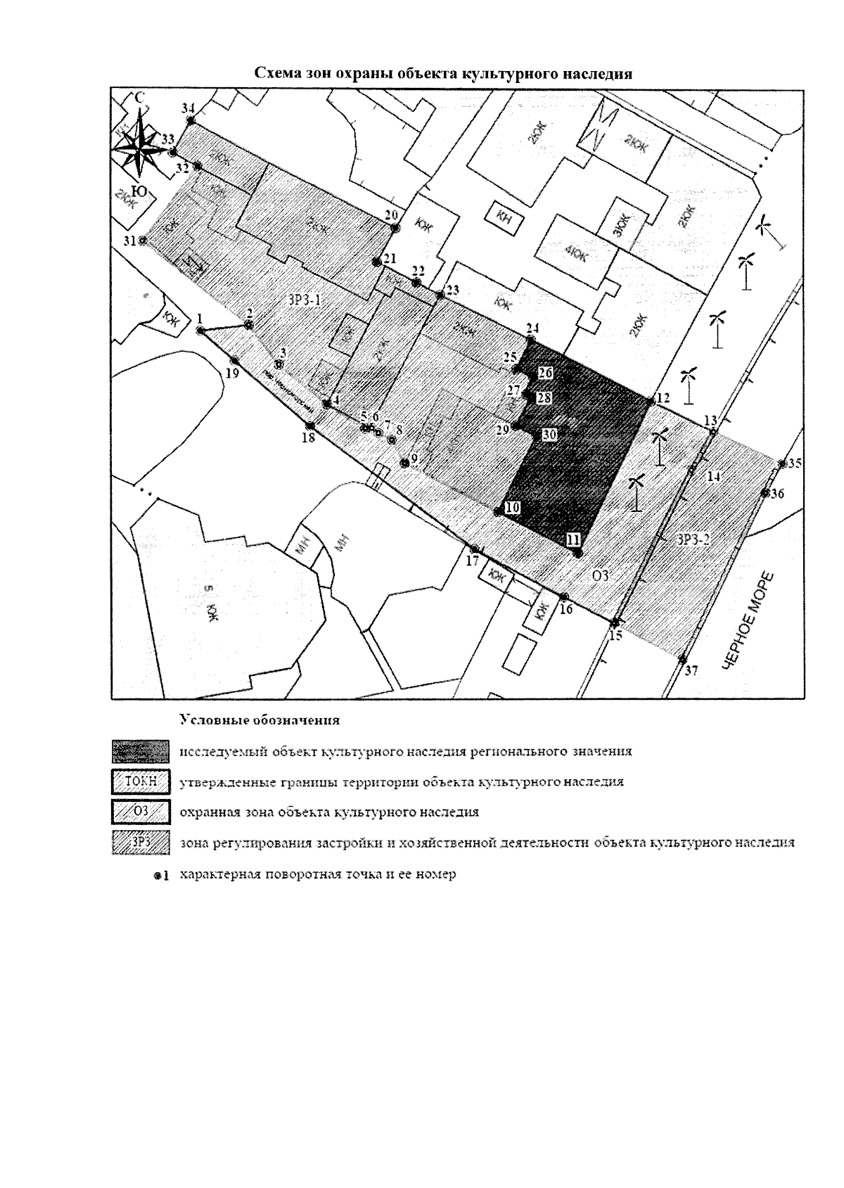
Приказ Министерства культуры Республики Крым от 03.02.2025 № 52-ОКН
"Об утверждении границ зон охраны, режимов использования земель и требований к градостроительным регламентам в границах зон охраны объекта культурного наследия регионального значения "Здание аптеки и парфюмерного магазина Я.А. Левентона", конец XIX века - начало XX века, расположенного по адресу: Республика Крым, г. Ялта, наб. им. В.И. Ленина, 27/ пер. Черноморский, 1, литеры "А", "Б", "Д"
(Зарегистрирован 04.02.2025 № 2182)
Номер опубликования: 9101202502070005
Дата опубликования: 07.02.2025
Страница №7 из 11:
Увеличить