Приказ Министерства культуры Республики Крым от 03.02.2025 № 50-ОКН
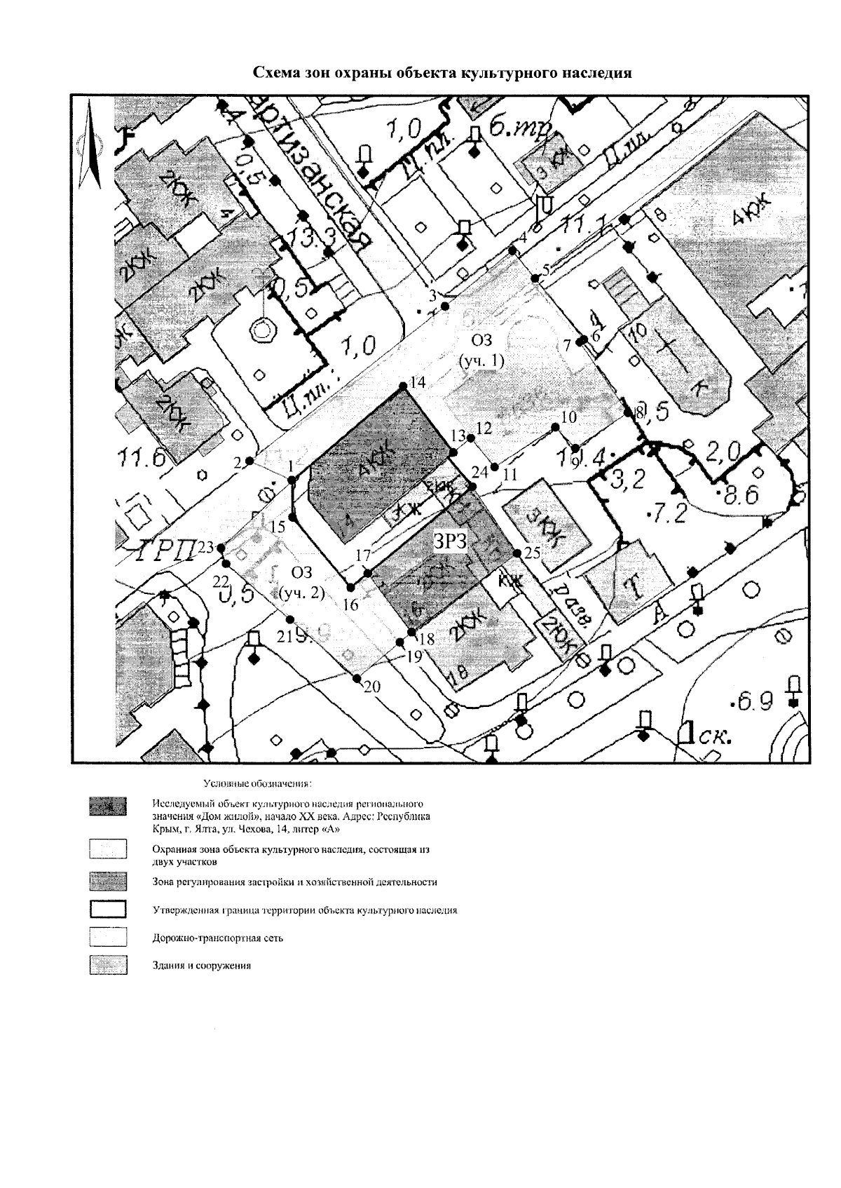
"Об утверждении границ зон охраны, режимов использования земель и требований к градостроительным регламентам в границах зон охраны объекта культурного наследия регионального значения "Дом жилой", начало XX века, расположенного по адресу: Республика Крым, г. Ялта, ул. Чехова, 14, литер "А"
(Зарегистрирован 04.02.2025 № 2180)
"Об утверждении границ зон охраны, режимов использования земель и требований к градостроительным регламентам в границах зон охраны объекта культурного наследия регионального значения "Дом жилой", начало XX века, расположенного по адресу: Республика Крым, г. Ялта, ул. Чехова, 14, литер "А"
(Зарегистрирован 04.02.2025 № 2180)
Номер опубликования: 9101202502070002
Дата опубликования:
07.02.2025
