Официальное опубликование правовых актов
ОФИЦИАЛЬНОЕ ОПУБЛИКОВАНИЕ
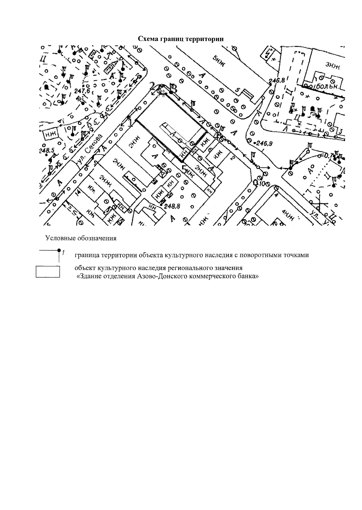
Приказ Министерства культуры Республики Крым от 03.02.2025 № 51-ОКН
"Об утверждении границ территории, режимов использования земель в границах территории объекта культурного наследия регионального значения "Здание отделения Азово-Донского коммерческого банка",1877 год, расположенного по адресу: Республика Крым, г. Симферополь, ул. Александра Невского, 4/ ул. Серова, 2, литер "А"
(Зарегистрирован 04.02.2025 № 2181)
Номер опубликования: 9101202502070001
Дата опубликования: 07.02.2025
Страница №4 из 5:
Увеличить