Приказ Министерства культуры Республики Крым от 17.01.2025 № 25-ОКН
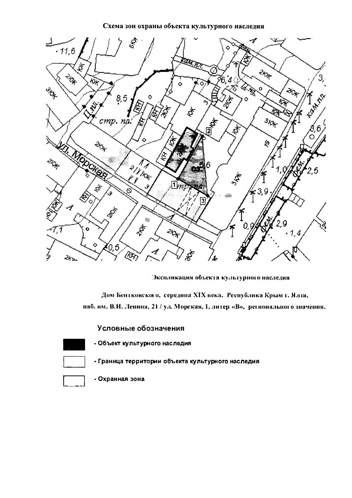
"Об утверждении границ зон охраны, режимов использования земель и требований к градостроительным регламентам в границах зон охраны объекта культурного наследия регионального значения "Дом Бентковских", середина XIX века, расположенного по адресу: Республика Крым, г. Ялта, наб. им. В.И. Ленина, 21/ ул. Морская, 1, литер "В"
(Зарегистрирован 20.01.2025 № 2136)
"Об утверждении границ зон охраны, режимов использования земель и требований к градостроительным регламентам в границах зон охраны объекта культурного наследия регионального значения "Дом Бентковских", середина XIX века, расположенного по адресу: Республика Крым, г. Ялта, наб. им. В.И. Ленина, 21/ ул. Морская, 1, литер "В"
(Зарегистрирован 20.01.2025 № 2136)
Номер опубликования: 9101202501220002
Дата опубликования:
22.01.2025
