Официальное опубликование правовых актов
ОФИЦИАЛЬНОЕ ОПУБЛИКОВАНИЕ
Приказ Министерства культуры Республики Крым от 17.01.2025 № 24-ОКН
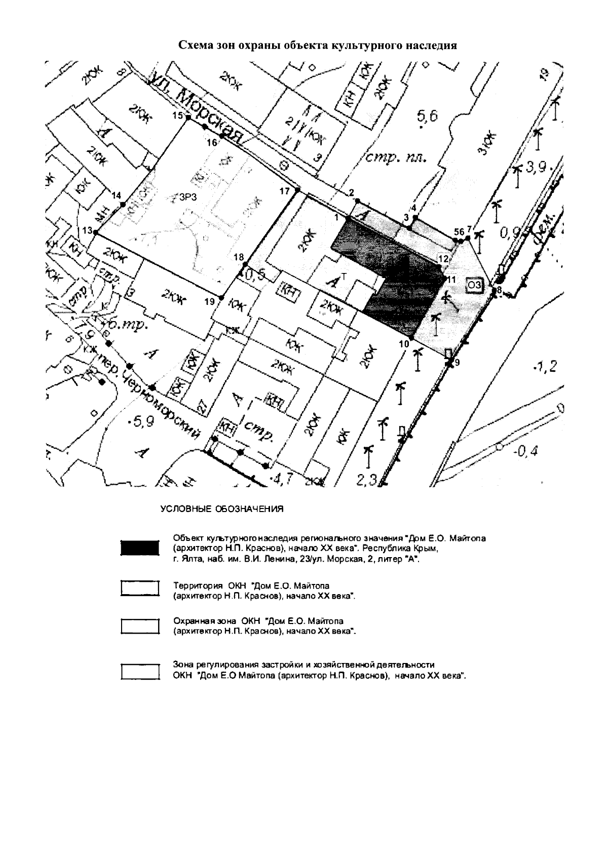
"Об утверждении границ зон охраны, режимов использования земель и требований к градостроительным регламентам в границах зон охраны объекта культурного наследия регионального значения "Дом Е.О. Майтопа (архитектор Н.П. Краснов)", начало XX века, расположенного по адресу: Республика Крым, г. Ялта, наб. им. В.И. Ленина, 23/ ул. Морская, 2, литер "А"
(Зарегистрирован 20.01.2025 № 2135)
Номер опубликования: 9101202501210005
Дата опубликования: 21.01.2025
Страница №5 из 8:
Увеличить