Официальное опубликование правовых актов
ОФИЦИАЛЬНОЕ ОПУБЛИКОВАНИЕ
Приказ Министерства культуры Республики Крым от 17.01.2025 № 22-ОКН
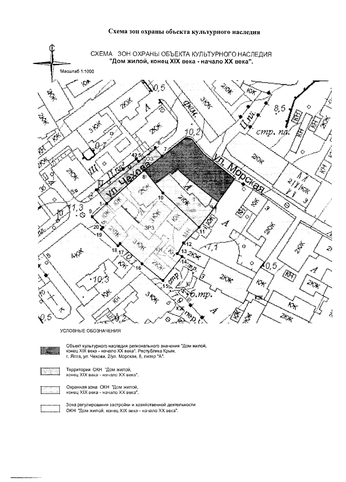
"Об утверждении границ зон охраны, режимов использования земель и требований к градостроительным регламентам в границах зон охраны объекта культурного наследия регионального значения "Дом жилой", конец XIX века - начало XX века, расположенного по адресу: Республика Крым, г. Ялта, ул. Чехова, 2/ул. Морская, 8, литер "А"
(Зарегистрирован 20.01.2025 № 2133)
Номер опубликования: 9101202501210001
Дата опубликования: 21.01.2025
Страница №5 из 8:
Увеличить