Официальное опубликование правовых актов
ОФИЦИАЛЬНОЕ ОПУБЛИКОВАНИЕ
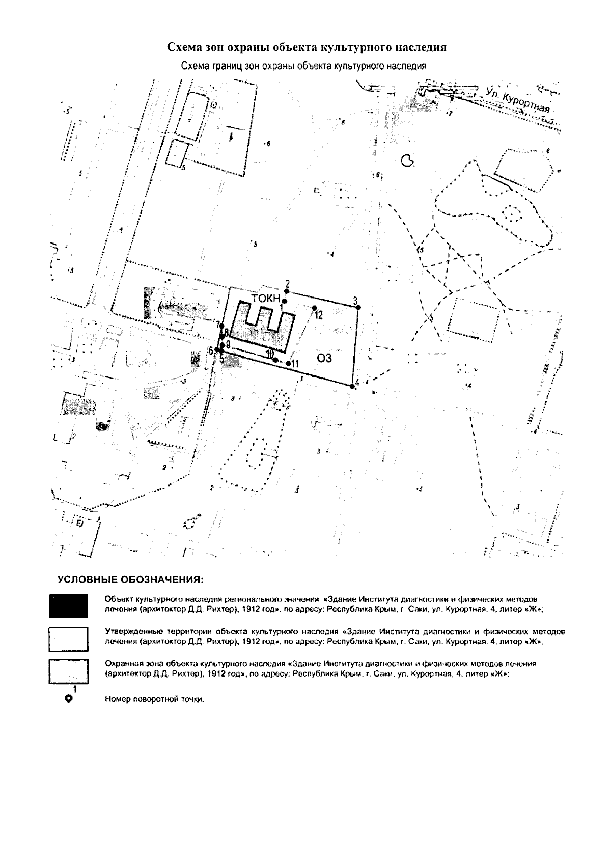
Приказ Министерства культуры Республики Крым от 15.11.2024 № 693-ОКН
"Об утверждении границ зон охраны, режимов использования земель и требований к градостроительным регламентам в границах зон охраны объекта культурного наследия регионального значения "Здание Института диагностики и физических методов лечения (архитектор Д.Д. Рихтер)", 1912 год, расположенного по адресу: Республика Крым, г. Саки, ул. Курортная, 4, литер "Ж"
(Зарегистрирован 25.11.2024 № 1882)
Номер опубликования: 9101202411270002
Дата опубликования: 27.11.2024
Страница №5 из 7:
Увеличить