Официальное опубликование правовых актов
ОФИЦИАЛЬНОЕ ОПУБЛИКОВАНИЕ
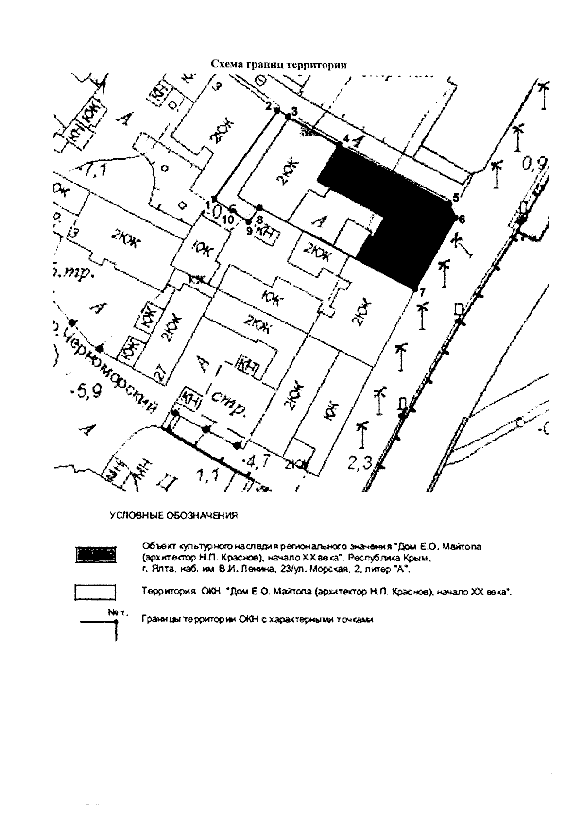
Приказ Министерства культуры Республики Крым от 28.10.2024 № 639-ОКН
"Об утверждении границ территории, режимов использования земель в границах территории объекта культурного наследия регионального значения "Дом Е.О. Майтопа (архитектор Н.П. Краснов)", начало XX века, расположенного по адресу: Республика Крым, г. Ялта, наб. им. В.И. Ленина, 23/ ул. Морская, 2, литер "А"
(Зарегистрирован 31.10.2024 № 1822)
Номер опубликования: 9101202411060001
Дата опубликования: 06.11.2024
Страница №4 из 5:
Увеличить