Официальное опубликование правовых актов
ОФИЦИАЛЬНОЕ ОПУБЛИКОВАНИЕ
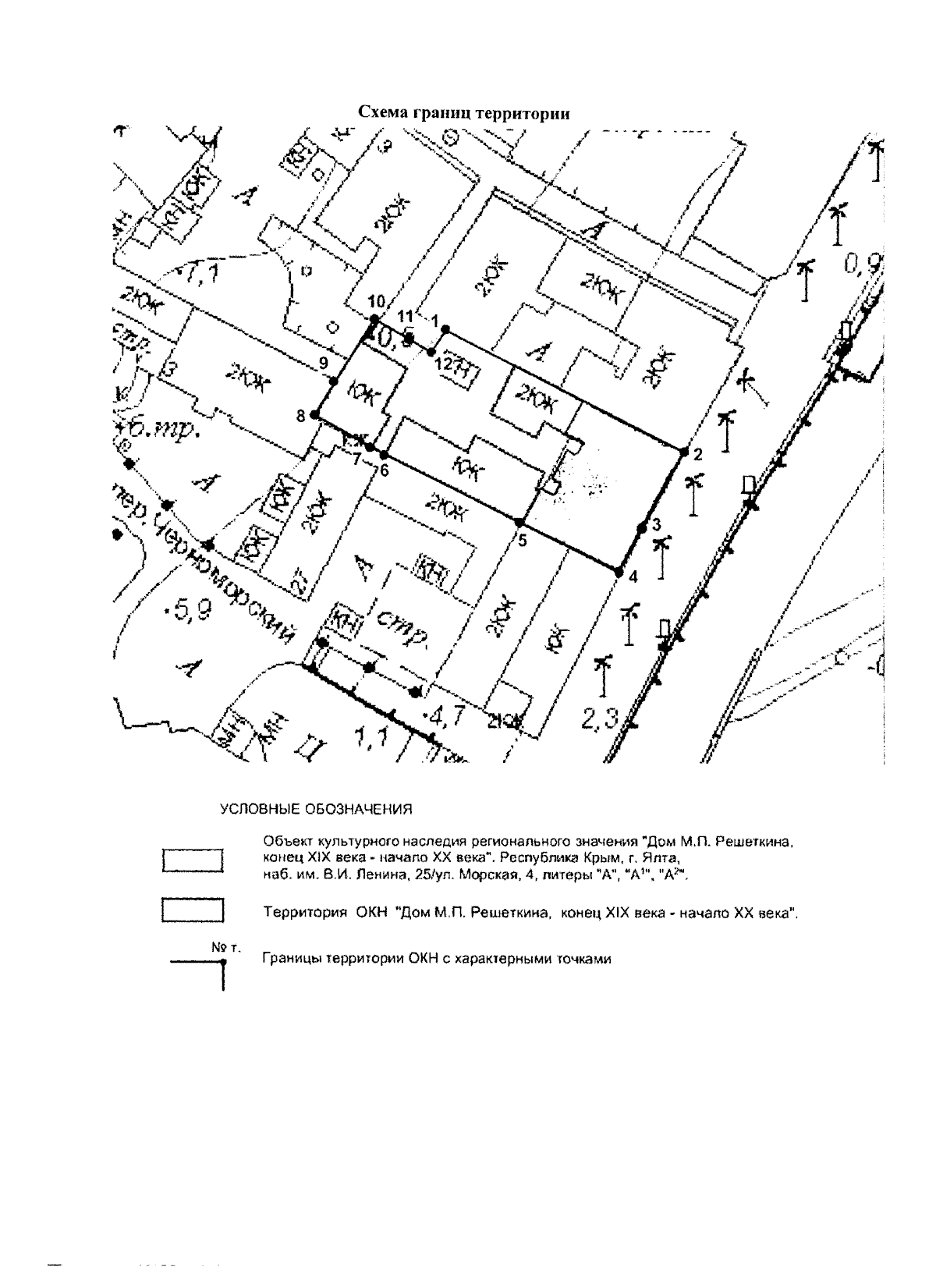
Приказ Министерства культуры Республики Крым от 28.10.2024 № 635-ОКН
"Об утверждении границ территории, режимов использования земель в границах территории объекта культурного наследия регионального значения "Дом М.П. Решеткина", конец XIX века - начало XX века, расположенного по адресу: Республика Крым, г. Ялта, наб. им. В.И. Ленина, 25/ул. Морская, 4, литеры "А", "А1", "А2"
(Зарегистрирован 31.10.2024 № 1818)
Номер опубликования: 9101202411050008
Дата опубликования: 05.11.2024
Страница №5 из 6:
Увеличить