Приказ Министерства культуры Республики Крым от 28.10.2024 № 633-ОКН
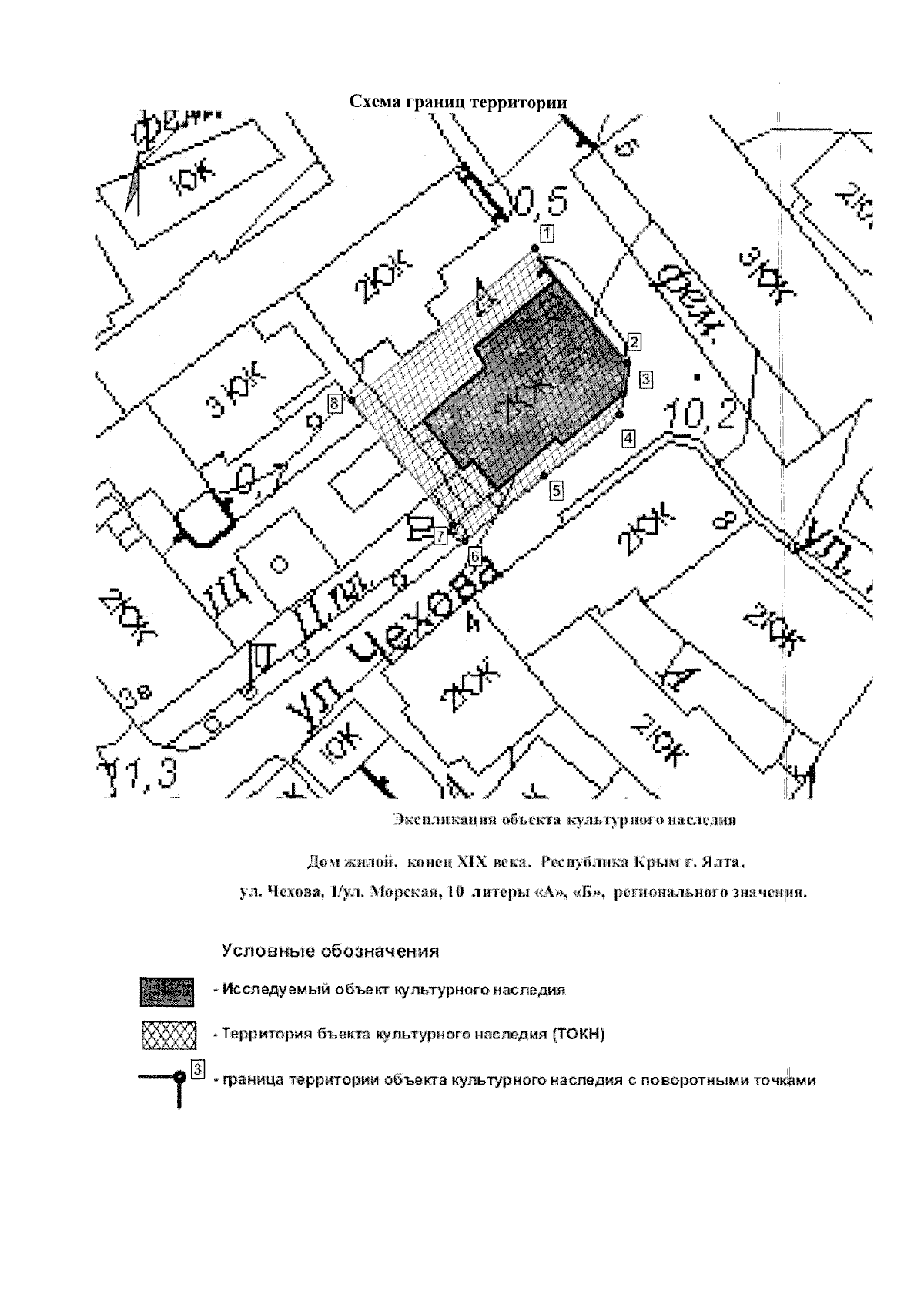
"Об утверждении границ территории, режимов использования земель в границах территории объекта культурного наследия регионального значения "Дом жилой", конец XIX века, расположенного по адресу: Республика Крым, г. Ялта, ул. Чехова, 1/ул. Морская, 10, литеры "А", "Б"
(Зарегистрирован 31.10.2024 № 1816)
"Об утверждении границ территории, режимов использования земель в границах территории объекта культурного наследия регионального значения "Дом жилой", конец XIX века, расположенного по адресу: Республика Крым, г. Ялта, ул. Чехова, 1/ул. Морская, 10, литеры "А", "Б"
(Зарегистрирован 31.10.2024 № 1816)
Номер опубликования: 9101202411050003
Дата опубликования:
05.11.2024
